This is the eel swimming away. Sorry, buddy!
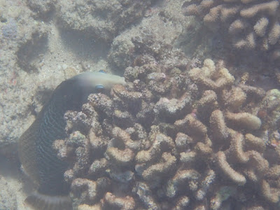
So while I'm on the eel topic, here is the other eel photo from today:
Too bad, too, because those are very cool eels.
So 5 octopuses today, I think. Why the confusion? I saw what I think was #5, but have to check the surrounding rocks, as it could have been one I already saw.

He'e 2:
It was peeking at me...

And then it retreated into its den. You can see one eye and the siphon with its aqua color. I am intrigued about whether they can also put camouflage color on the siphon. When I see them, they are usually brown or white....not camouflaged, i.e., brown and white like the camouflaged skin.
He'e #3...can you just see its eye? between the rocks just a bit left of center in the shot.

And it wanted to hide. Drat. They all do that. But come to think of it, that's a good thing: if they don't hide, someone without my sensibilities might hunt it!
And here's the brown/white siphon and the eye. It's hiding in its den.

He'e #4 in a new place! This is a rock with a hole in its middle and the octopus is hiding inside.

I am leaning toward thinking this was octopus #5....

Very happy to see so many. Nice water, too, pretty flat and clear. Yay.
4 little Humu. Very cute, as they darted around.

Finally, another Ambon Puffer picture with the pretty blue anal fin!
I don't know why these Blue-Spined Unicorns have different coloration. I shall look it up. But not right now. Please be patient (because someone has to be....won't be me, probably. Ha.)
Christmas Wrasse sped through.

Cornet Fish
It occurred to me today that when the 4 spot butterfly are swimming together and then peel off in different directions that perhaps they are performing a defensive maneuver, so both won't be eaten/caught at the same time. Let me know if they tell you.

Possible nudibranch eggs, attached to a rock. It's like a small white flower, blowing in the breeze.
God's rays shining through the clouds.

Small Hawaiian Hogfish
Sideways and leftways Trunk fish males
Minnows. I can't tell what they will grow into.
This big Honu surprised me! This was the 2nd one.

This was the first turtle that swam by me. I can tell it's a different one, because the first one had white on its eyes...I hope that isn't a parasite! I don't get close, so I couldn't really examine it. But #2 didn't have that white, so that's my rationale for thinking it's a different honu.
The operculum that I found near a real octopus...this is on my desk as a reminder...with my pottery octopus.
Lizard fish. I saw it flex its side fins, so I recorded a video to catch it possible burying itself in the sand. Of course, because I was ready, it didn't do that. Oy vey.
Peacock Grouper

Find the peeking he'e:
Pencil Urchins

Young Pinktail Durgon
Juvenile Yellow Tail coris

A mess of Rock Mover wrasses! I do not know what they found so interesting beneath that rock, but it kept them occupied until I moved on.
Snoozing seal
A momma with 4 chicks. They stopped near the showers for a drink.

OK, now for the Urchin parade. I thought it was interesting how diverse the things are that they put on their backs. Some of them look really heavy, but good armor.

The stuff on the back definitely outweighed the urchin!


This urchin was hiding in a rock. Burrowing Urchins.

And this is the kind you definitely don't want to be pushed into by a wave! They are usually out on the deep side.

Yup, there's an urchin under all that!
This one apparently liked only smallish bits.

All in all, a wonderful snorkel. No scary animals, no smacking waves and plenty of octopuses. Also, not too many people in the water. Perhaps because it was cold...well, cold for Hawaii anyway.
Thanks for reading. And thanks to God for creating it all.

































































